

-
專注于包裝設備的設計與生產
為您提供專業的包裝設備解決方案
-
全球服務熱線:
13416770167
您的位置:
首頁 >
新聞中心
www.lanxinge.cn
工字封箱機有什么優勢
發布日期:2024-12-11
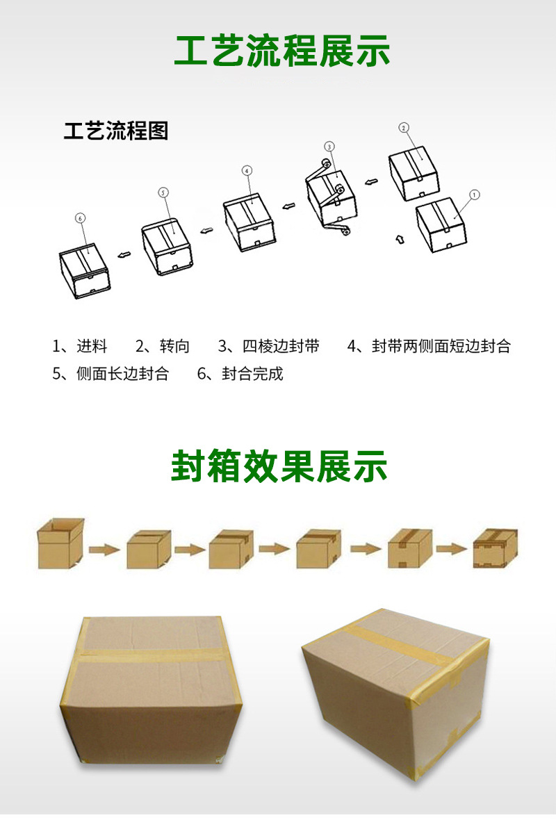
- 高效的封箱功能
- 高速封箱能力:工字封箱機能夠快速地完成封箱操作,其封箱速度可根據機器性能和紙箱尺寸進行調整。一般來說,每分鐘可以完成 10 - 20 箱左右的封箱任務,在大規模包裝生產中能有效提高效率。
- 連續穩定工作:憑借先進的機械結構和自動化控制系統,它可以長時間不間斷地工作。只要有紙箱持續供應并且膠帶充足,就能保持穩定的封箱作業,適合大規模、高效率的生產環境。
- 精準的封箱質量
- 精確的膠帶粘貼:通過精密的導向裝置和控制系統,能夠確保膠帶在紙箱的上下封口和中間接縫處精確粘貼。膠帶位置準確、整齊,形成標準的 “工” 字形,使紙箱外觀更加美觀、專業,同時也增強了封口的密封性。
- 牢固的封口效果:壓合滾輪對膠帶施加的壓力恰到好處,使得膠帶與紙箱之間的黏附牢固。這種牢固的封口能夠有效防止紙箱在運輸和儲存過程中開口,保護箱內產品的安全。
- 良好的適應性
- 紙箱尺寸兼容性:可以通過簡單的調節操作,適應各種尺寸的紙箱。無論是小型的快遞紙箱,還是較大的工業產品包裝紙箱,都能在機器上進行高效的 “工” 字形封箱。操作人員只需調整相關參數,就能實現不同尺寸紙箱的封箱。
- 膠帶兼容性:能夠兼容多種類型的膠帶,如普通透明膠帶、彩色膠帶、印字膠帶等。企業可以根據自身的品牌宣傳、產品分類等需求選擇合適的膠帶,機器都能很好地進行封箱作業。


















